NEW

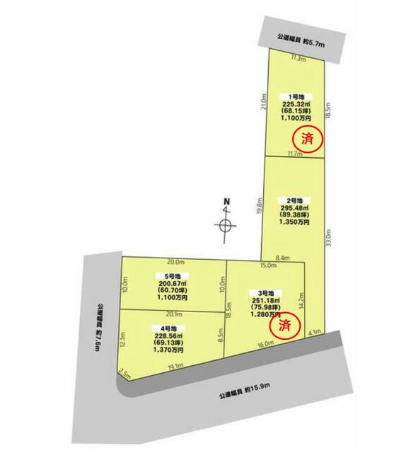
瑞浪市一色町2丁目 分譲地 5号地

1,100万円

岐阜県瑞浪市一色町2丁目

中央線「瑞浪」駅徒歩17分

価格
1,100万円
坪単価
18.12万円(60.70坪)
所在地
岐阜県瑞浪市一色町2丁目
交通

中央線瑞浪」駅 徒歩17分

土地面積(坪数)
200.68㎡(60.70坪)
建ぺい率 / 容積率
60% / 200%

セールスポイント

バロー瑞浪店まで495mです。平坦地なので、傾斜地よりも工事費をダウンさせやすいですよ。住宅用地なので住まいに適した周辺環境の整っており、快適な生活が期待できるのではないでしょうか。こちらの土地面積は225.32㎡(実測)となっています。瑞浪市エリアの不動産探しは、当社にぜひお任せください。

ポイント

即引渡し可 土地60坪以上

担当者のコメント

建築条件付きにこちらの物件は、多治見市にある吉川組が施工業者となります。吉川組は県立多治見病院の新中央診療棟や多治見駅前の虎渓用水広場、モザイクタイルミュージアム、小泉小学校や池田小学校等多くの公共事業を施工された創業94年の会社です。

基本情報

販売区画数
-
総区画数
-
土地面積(坪数)
200.68㎡(60.70坪)
坪単価
18.12万円
私道負担面積
割合
-
セットバック
無 記載なし
建ぺい率 /
容積率
60% / 200%
高圧線下面積
-
傾斜地部分面積
-
路地状敷地
-
地目
宅地
地勢
平坦
造成工事
完了予定
-
土地権利
所有権
建築条件
都市計画
非線引区域
用途地域
第一種住居
接道状況
-(西 公道 7.6m 間口 10.0m)
国土法届出要否
不要
最適用途
住宅用地
その他
法令上の制限
-
取引態様
仲介
現況
-
引渡条件
現況渡
引渡時期
即時
開発許可番号
-
取引条件の
有効期限
2026年04月26日

設備条件

設備条件
  • プロパンガス / 公営水道 / 公共下水 / 電気有
設備(その他)
    側溝

その他

物件番号
95759606
管理コード
-
情報更新日
2026年04月12日
次回更新予定日
2026年04月26日
取扱会社
  • 株式会社サカエコーポレーション 本店
  • 岐阜県瑞浪市西小田町2丁目6 
  • TEL:0572-56-1315
  • 岐阜県知事 (1) 第005288号
  • ・(公社)全日本不動産協会
    ・東海不動産公正取引協議会
    ・(一社)不動産流通プロフェッショナル協会
    ・岐阜県相続診断士会
    ・全日本不動産協会 岐阜県本部青年部会
    ・瑞浪商工会議所(1号議員)
    ・瑞浪ロータリークラブ
    ・(一社)多治見法人会
    ・瑞浪市空き家・空き地バンク協力不動産事業者
備考
スーパー、ドラッグストア、コンビニも近く生活に便利な立地です。<周辺施設>ドラッグユタカ瑞浪樽上店・・徒歩3分(約200m)バロー瑞浪店・・徒歩5分(約400m)セブンイレブン瑞浪バイバス店・・徒歩6分(約450m)<交通機関>JR中央本線「瑞浪」駅・・徒歩17分(約1300m)<学区>瑞浪小学校・・徒歩9分(約700m)瑞浪中学校・・徒歩11分(約850m)<施工会社>㈱ヨシカワ開発

瑞浪市一色町2丁目 分譲地の他の区画

  1. 1号地

    - (225.32㎡)

    1,100万円(16.14万円/坪)

  2. 4号地

    - (228.56㎡)

    1,370万円(19.82万円/坪)

  3. 2号地

    - (295.48㎡)

    1,350万円(15.1万円/坪)

周辺施設

  • 大垣共立銀行 瑞浪支店の画像

    銀行

    大垣共立銀行 瑞浪支店

    577m(8分)

  • ファミリーマート 瑞浪上野店の画像

    コンビニエンスストア

    ファミリーマート 瑞浪上野店

    613m(8分)

  • ファミリーマート瑞浪南小田店の画像

    コンビニエンスストア

    ファミリーマート瑞浪南小田店

    664m(9分)

  • 十六銀行瑞浪支店の画像

    銀行

    十六銀行瑞浪支店

    675m(9分)

  • ローソン 瑞浪益見町店の画像

    コンビニエンスストア

    ローソン 瑞浪益見町店

    772m(10分)

  • 珈琲屋らんぷ 瑞浪店の画像

    喫茶店・カフェ

    珈琲屋らんぷ 瑞浪店

    818m(11分)

  • マクドナルド 19号瑞浪店の画像

    ファーストフード

    マクドナルド 19号瑞浪店

    821m(11分)

  • ヤマト運輸 瑞浪営業所の画像

    その他

    ヤマト運輸 瑞浪営業所

    1003m(13分)

  • 瑞浪市総合文化センターの画像

    公民館

    瑞浪市総合文化センター

    1003m(13分)

支払いシミュレーション

月々の支払額

※実際の金額と異なる場合があります。

購入希望物件価格
万円
頭金
万円
金利
%
返済額(ボーナス1回分)
万円
返済期間

※ボーナスは自動で年2回分で計算されます。

近隣の物件

  1. 瑞浪市南小田町2丁目

    瑞浪市南小田町2丁目

    - (270.38㎡)

    1,230万円

  2. 瑞浪市松ヶ瀬町

    瑞浪市松ヶ瀬町4丁目

    - (198.40㎡)

    980万円

  3. 瑞浪市土岐町天徳

    瑞浪市土岐町

    - (333.00㎡)

    1,000万円

  4. 瑞浪市明世町山野内

    瑞浪市明世町山野内

    - (202.63㎡)

    885万円

よく見られている物件

  1. 瑞浪市土岐町 益見口

    瑞浪市土岐町

    - (198.34㎡)

    200万円

  2. 瑞浪市一色町2丁目 分譲地

    瑞浪市一色町2丁目

    - (225.32㎡)

    1,100万円

  3. 瑞浪市宮前町

    瑞浪市宮前町1丁目

    - (754.98㎡)

    1,890万円

  4. 瑞浪市松ヶ瀬町

    瑞浪市松ヶ瀬町4丁目

    - (198.40㎡)

    980万円

瑞浪市一色町2丁目 分譲地

瑞浪市一色町2丁目 分譲地

1,100万円

-(200.68㎡)

お気軽にお問い合わせください

無料お問い合わせ

株式会社サカエコーポレーション 本店

0572-56-1315

10:00~18:00

(休:水曜日)